进入11月,钦州土拍热闹起来了!据钦州市自然资源局显示,6宗住宅和商业用地上架土拍市场,总出让面积335564.33㎡(折合约503.35亩),起始总价7.615亿元。

出让信息
(一)钦市网拍2025-6
东泉街北面、粤桂北路西面

起拍价:11890万元
拍卖时间:2025-11-25 09:00



建设要求:
1.竞得人须严格按照国有建设用地使用权出让合同约定的土地使用条件和批准的总平图建设。
2.竞得人须严格执行《广西壮族自治区民用建筑节能条例》规定,按照绿色建筑标准进行建设。
3.竞得人须在出让地块的西侧及北侧出资配建规 划道路,路长约431米,宽12米。道路起止、路长及路幅宽度终以自然资源部门核定为准,道路名称终以民政部门核定为准。竞得上述地块后由市自然资源局无偿划拨给竞得人,竞得人须与钦州市住房和城乡建设局签订的配套道路工程履约监管协议,并严格按照协议的有关约定执行,由钦州市住房和城乡建设局负责监管。规 划道路由竞得人建成后,无偿移交给市城市管理局或政府指定的相关部门管理、使用。办理产权转移登记的一切税费由竞得人负责。
交付土地条件及宗地配套条件:
1.宗地交付条件:
(1)宗地按现状净地条件交付给竞得人动工开发建设。
(2)宗地上原市水利电力工程处的33.28亩土地,青苗、地上临时建(构)筑物在土地出让成交前由市水利局负责清理、拆除。
2.交付宗地配套条件:宗地红线范围内按现状净地条件,宗地红线范围外按现状市政配套条件。
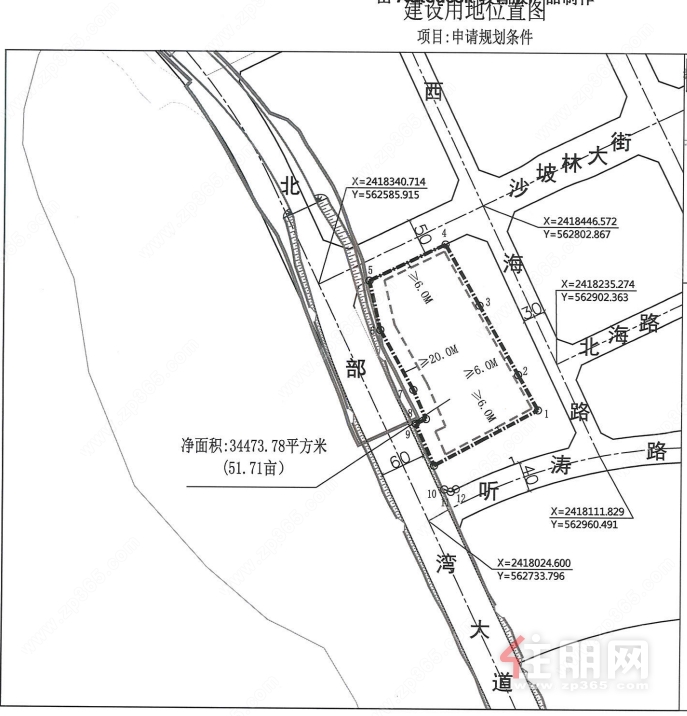
(二)钦市网拍2025-7
北部湾大道东面、沙坡林大街南面

起拍价:7840万元
拍卖时间:2025-11-25 09:00



建设条件:
1.竞得人须严格按照国有建设用地使用权出让合同约定的土地使用条件和批准的总平规 划建设。
2.竞得人须严格执行《广西壮族自治区民用建筑节能条例》规定,按照绿色建筑标准进行建设。
(三)钦市网拍2025-8
坭兴街与东环路交汇处东面

起拍价:10500万元
拍卖时间:2025-11-25 09:00



建设要求:
1.竞得人须严格按照国有建设用地使用权出让合同约定的土地使用条件和批准的总平图建设。
2.竞得人须严格执行《广西壮族自治区民用建筑节能条例》规定,按照绿色建筑标准进行建设。
(四)钦市网拍2025-9
金海湾西大街北面、钦黄公路东面

起拍价:13670万元
拍卖时间:2025-11-25 09:00


建设要求:
1.竞得人须严格按照国有建设用地使用权出让合同约定的土地使用条件和批准的总平图建设。
2.竞得人须严格执行《广西壮族自治区民用建筑节能条例》规定,按照绿色建筑标准进行建设。
(五)钦市网拍2025-10
北部湾大道西面

起拍价:19190万元
拍卖日期:2025-11-27 09:00



建设要求:
1.竞得人须严格按照国有建设用地使用权出让合同约定的土地使用条件和批准的总平规 划建设。
2.竞得人须严格执行《广西壮族自治区民用建筑节能条例》规定,按照绿色建筑标准进行建设。
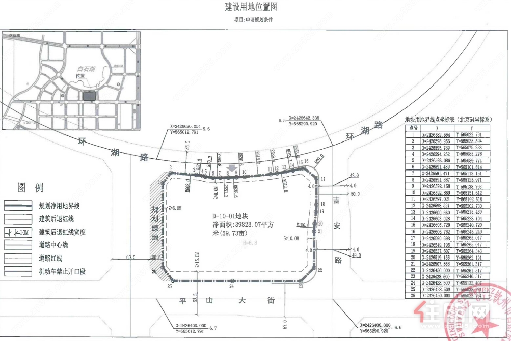
(六)钦市网拍2025-11
环湖路南面、吉安路西面
(白石湖片区D-10-01地块)

起拍价:13060万元
拍卖时间:2025-12-02 09:00



建设要求:
地块内沿环湖路后退控40~60米进深的用地为纯商业、商务用地;兼容住宅,住宅总计容面积占总计容面积≤60%,地块需预留一定的宽度作为视线通廊;地块内需建设一所参照五星级标准的酒店,客房总数量不低于200间;商业、商务需与住宅首期同步建设、同步验收。其他条件详见《建设用地规 划条件》。
1.竞得人须严格按照国有建设用地使用权出让合同约定的土地使用条件和批准的总平规 划建设。
2.竞得人须严格执行《广西壮族自治区民用建筑节能条例》规定,按照绿色建筑标准进行建设。
资讯点评